Facebook icon 
CREATE ACCOUNT LOG IN
Duane Henderson
Commercial & Residential Real Estate
(941) 724-4703
$49,900

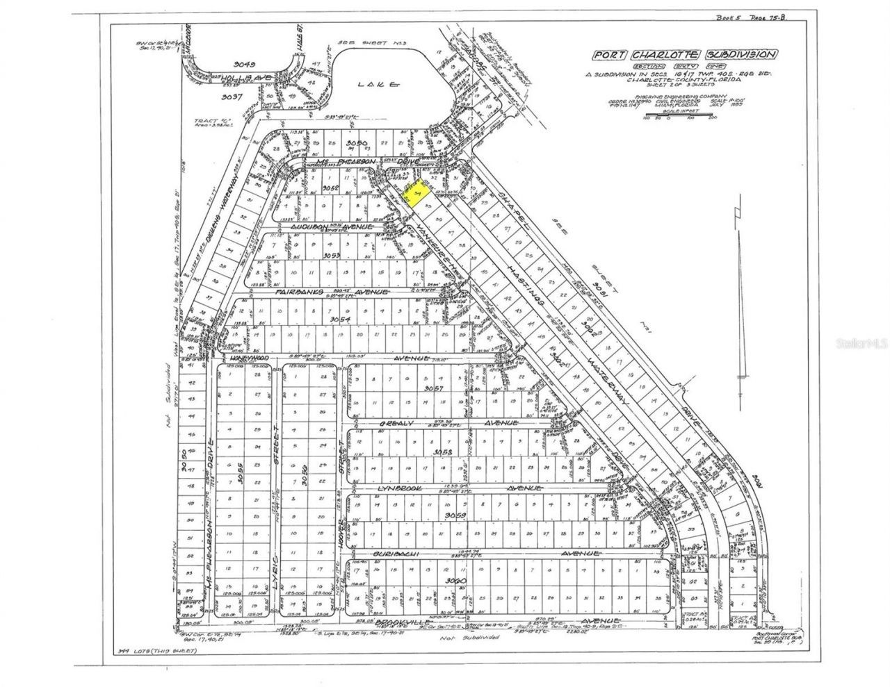
2336 Vankeuren Drive Port Charlotte, FL 33953 Land - Lot/Land Active

  • 2336 Vankeuren Drive , Port Charlotte, FL 33953 Main Photo

5 Total Photos [Click to View All]

Description

Great investment opportunity on this WATERFRONT vacant lot with one bridge to open water in a vibrant area of northeast Charlotte County! This beautiful property offers the perfect opportunity to build your dream home with direct access to some of Southwest Florida's best boating and fishing waters. Enjoy peaceful canal views and the convenience of being just one bridge away from open water-ideal for boaters and water enthusiasts alike. Located just minutes from the Town Center Mall, the Tampa Bay Rays Spring Training facility, dining, shopping, and entertainment, this property combines the best of tranquility and convenience. Whether you're planning your forever home or a seasonal retreat, this waterfront lot provides the perfect setting to enjoy the Florida lifestyle. There are no deed restrictions or HOA fees to pay! Not in a CDD so no huge amount built in your taxes either! Well and septic will be required, and Electricity is nearby. Come explore the area and invest in your future!

Property Highlights

Property Type: Land - Lot/Land
Lot Size: 0.23 Acres
Taxes: $1,020

General Information

County: Charlotte
High School: Port Charlotte High
Subdivision: PORT CHARLOTTE
Listed By:
Kathy Damewood RE/MAX ALLIANCE GROUP 941-473-8484

Property Features

Body of Water: HASTINGS WATERWAY
Days on Site: 1
Directions: Take 776/S McCall Road, turns into El Jobean Road, left on Jacobs Street, left on McPhearson Drive and left on Vankeuren Drive. Property will be immediately on the left, look for the sign.
Flood Zone Code: AE
Frontage Canal Brackish: 80
Home Warranty Y/N: No
Listing Terms: Cash, Conventional
Lot: Buildable, In County, Level, Paved
Lot Dimensions: 0.23
Ownership: Fee Simple
Pets Allowed: Yes
Property Attached Y/N: No
Sewer: Septic Needed
Showing Instructions: Go Direct
Special Sale Provisions: None
Special View Info: Water
Utilities: Electrical Nearby
Vegetation: Wooded
Water: Well Required
Water Access: Canal - Brackish
Water Access Y/N: Yes
Waterfront Features: Canal - Brackish
Water View: Canal
Zoning: RSF3.5
$49,900
New to the Market Active
LOT SIZE 0.230 acres MLS#D6146724
STATUSActive PROPERTY TYPELand - Lot/Land SUBDIVISIONPORT CHARLOTTE

Get in Touch

Contact an agent to learn more about

2336 Vankeuren Drive , Port Charlotte, FL 33953.

Contact Form

Preferred Communication Method:

Estimate Your Payment

Estimated Payment

$ 267.86 per month $168.30 Principal & Interest $85.00 Property Tax $14.55 Homeowner's Insurance

Change Payment Information

%
years/fixed
yearly
yearly (est.)
(Payments are an estimate and may vary by lender)
Disclaimer: All information deemed reliable but not guaranteed. All properties are subject to prior sale, change or withdrawal. Neither listing broker(s) or information provider(s) shall be responsible for any typographical errors, misinformation, misprints and shall be held totally harmless. Listing(s) information is provided for consumers personal, non-commercial use and may not be used for any purpose other than to identify prospective properties consumers may be interested in purchasing. Information on this site was last updated 03/25/2026. The listing information on this page last changed on 03/25/2026. The data relating to real estate for sale on this website comes in part from the Internet Data Exchange program of Delta Media Group MLS (last updated Wed 03/25/2026 9:39:37 AM EST) or Stellar MLS (last updated Wed 03/25/2026 9:21:57 AM EST). Real estate listings held by brokerage firms other than Wagner Realty may be marked with the Internet Data Exchange logo and detailed information about those properties will include the name of the listing broker(s) when required by the MLS. All rights reserved.

Listing data and photos distributed by MLSGRID
Member Participants (and their affiliated licensees, if applicable) shall indicate on their websites that IDX information is provided exclusively for consumers’ personal non-commercial use, that it may not be used for any purpose other than to identify prospective properties consumers may be interested in purchasing, that the data is deemed reliable but is not guaranteed by MLS GRID, and that the use of the MLS GRID Data may be subject to an end user license agreement prescribed by the Member Participant’s applicable MLS if any and as amended from time to time. MLS GRID may, at its discretion, require use of other disclaimers as necessary to protect Member Participant, and/or their MLS from liability.
Based on information submitted to the MLS GRID. All data is obtained from various sources and may not have been verified by broker or MLS GRID. Supplied Open House Information is subject to change without notice. All information should be independently reviewed and verified for accuracy. Properties may or may not be listed by the office/agent presenting the information.



Privacy Policy / DMCA Notice / ADA Accessibility

Login to My Homefinder

Pixel